VENDIDOS

Invierte en el ardiente Valle de Catamayo, Ciudad en Desarrollo y Alta Plusvalía.
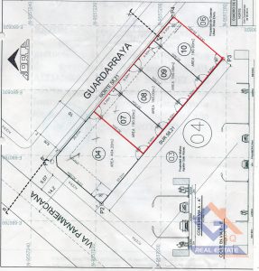
Disponemos 4 Terrenos en Catamayo, documentos al día.
Ubicados en la vía principal a Cariamanga cerca de la Gasolinera del Sindicato de Choferes.
Cuentan con Agua y Luz.
INFORMES
—072-676-161
—0997490455
TAGS lote-venta










